
There are a few blocks between Front Street and 2nd Street along Girard Avenue that are still blighted, vacant, and underutilized. Over the last few years, some cool businesses have opened along this stretch, but there is still a long ways to go to seamlessly tie Northern Liberties, Fishtown, and South Kensington together.
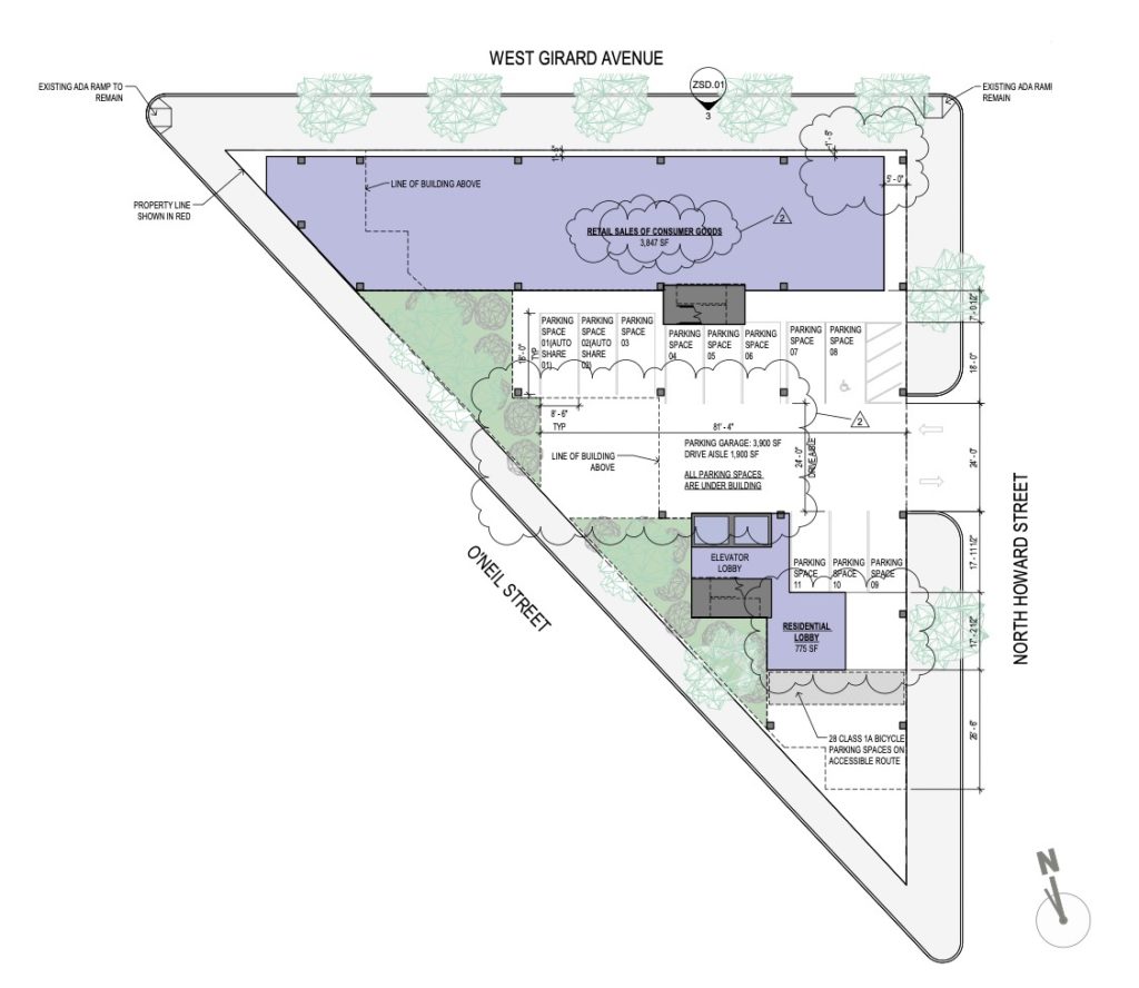
It looks like one block on the south side of Girard Avenue is on its way to becoming more pedestrian friendly. A zoning permit was issued today to redevelop the more than 12,000 square foot, CMX-3 zoned, triangular parcel at 130 West Girard that currently holds a one story bank structure and surface parking lot.



The zoning permit calls for a 7-story building with 84 residential units, 3,847 square feet of ground floor commercial space, 11 automobile parking spots, 28 bicycle stalls, and a roof deck. The commercial space will occupy all of the parcel’s Girard Avenue frontage. The parking spaces will be accessed via a drive aisle located on Howard Street. The residential lobby will also be located along Howard Street at the back of the building. There will be some open space on the O’neil Street side of the building.
This project can proceed by-right, but the development team will have to present their plans to the Civic Design Review for non-binding feedback. We imagine that meeting will take place in the coming months. Before that meeting, we will get more details about the project including renderings. We’ll be sure to share those with you when we get them.
How do you feel about these plans? Are you happy to see the bank and surface parking lot bite the dust? What kind of commercial tenant would you like to see open up shop in the storefront?
Kyle is a commercial real estate agent at Rittenhouse Realty Advisors, a homeowner, and a real estate investor in Philadelphia. Kyle uses his extensive Philadelphia real estate market knowledge to help his clients buy and sell multifamily investment properties, development opportunities, and industrial sites.
Email Kyle@RittenhouseRealty.com if you are looking to buy or sell a property
Instagram: @agent.kyle
